London Vet Show 2021
Opening Pandora's box: pelvic fractures and their management
Opening Pandora's box: pelvic fractures and their management
Couldn't load pickup availability
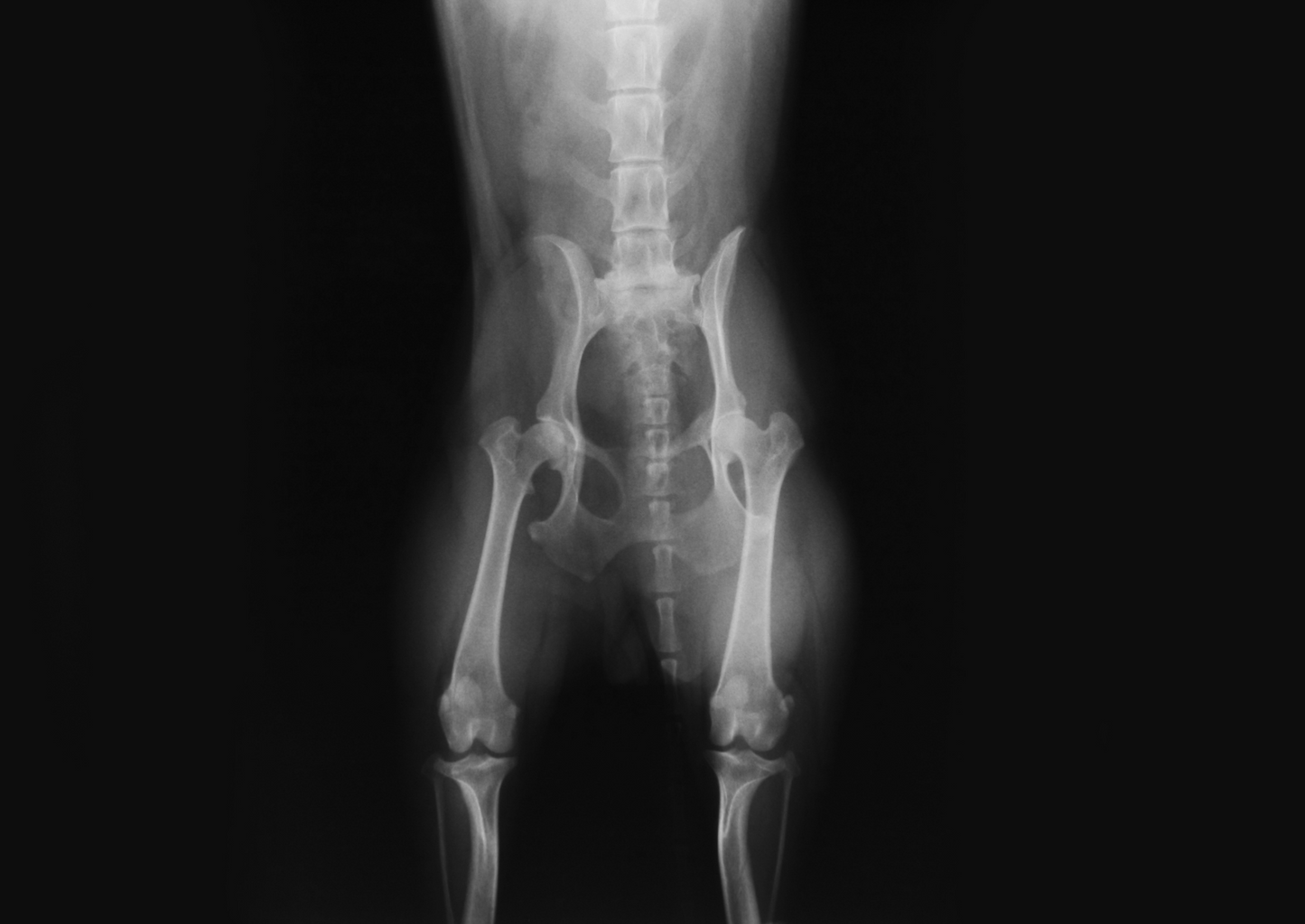
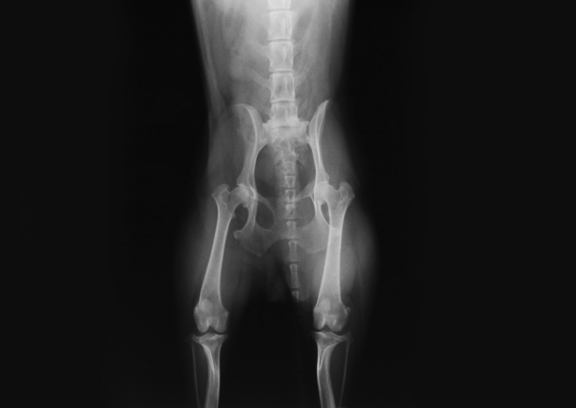
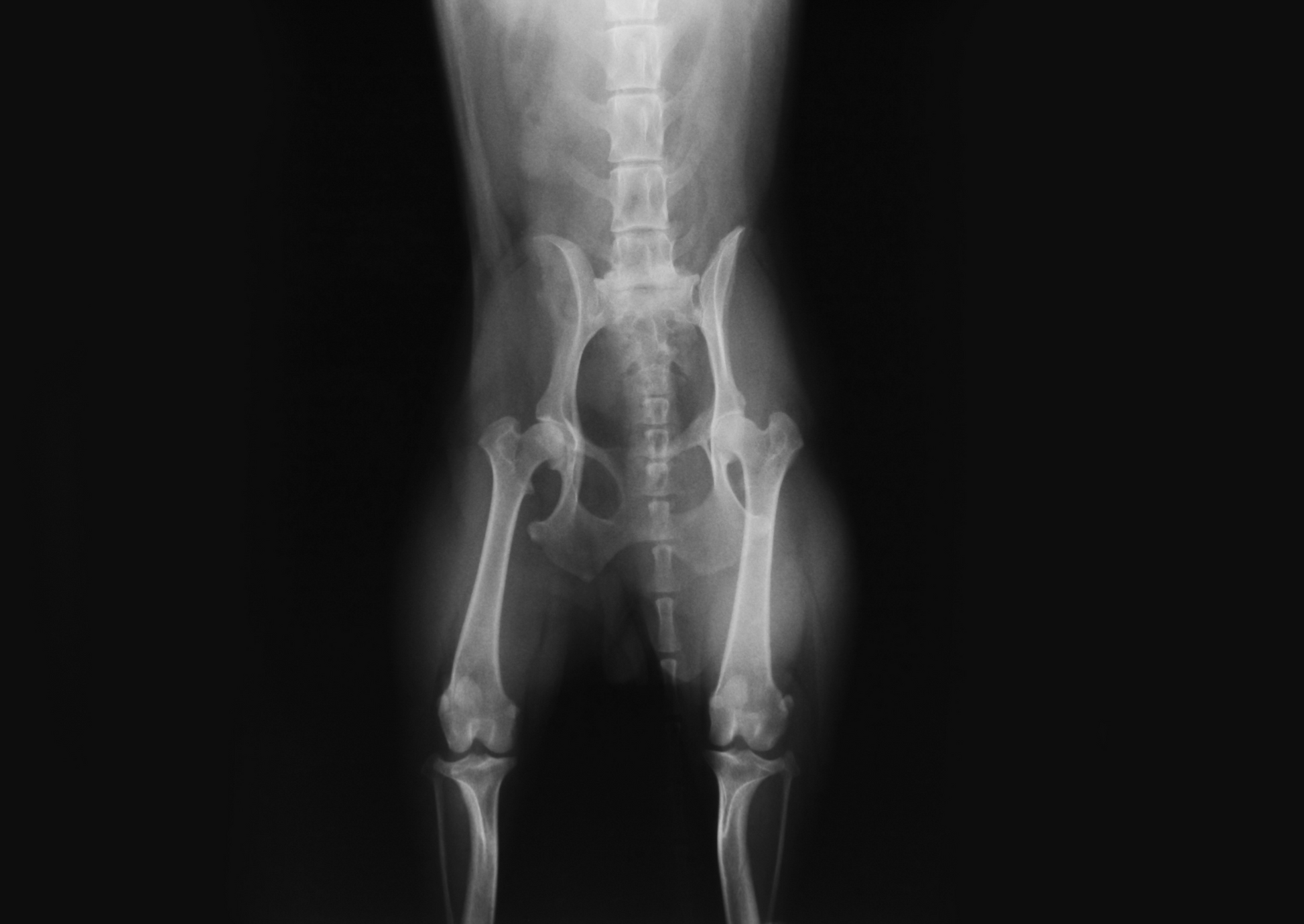
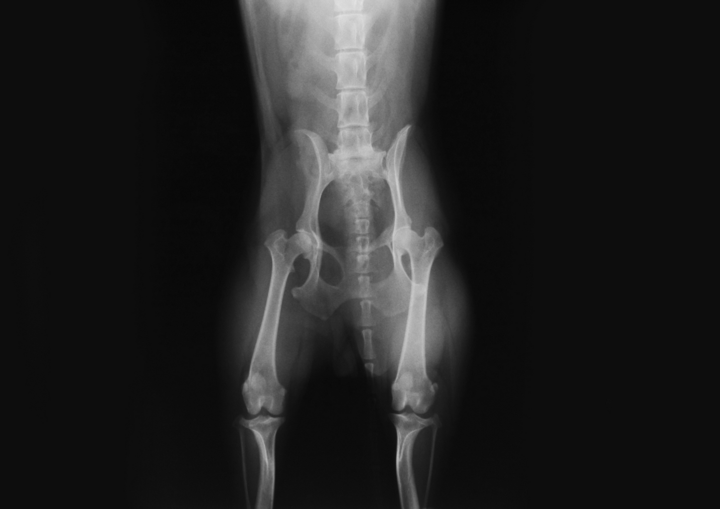
The patient has been appropriately triaged and stabilised. You are aware that hind limb function is impaired. Radiography revealed pelvic fractures. How do you make decisions regarding management of the bony injuries themselves?This presentation guides the first opinion practitioner through imaging, assessment and decision-making regarding orthopaedic pelvic injuries following trauma. The focus will be primarily on ilial and acetabular fractures and sacroiliac luxations.
Presented by:
Chair: David Tweedle, Clinical Board Vice-chairman, IVC Evidensia
Speaker: Philip Witte, BSc BVSc CertAVP(GSAS) DSAS(Orth) MRCVS, Orthopaedic Surgeon, Cornwall Veterinary Referrals
Presented at London Vet Show 2021
IVC Evidensia Referrals Theatre
Friday, November 12th 09:50 AM
Please note this session is not RACE-approved but you can still earn a CPD certificate.
Share
